FRANCONVILLE - CENTRE-VILLE
Description de l'offre
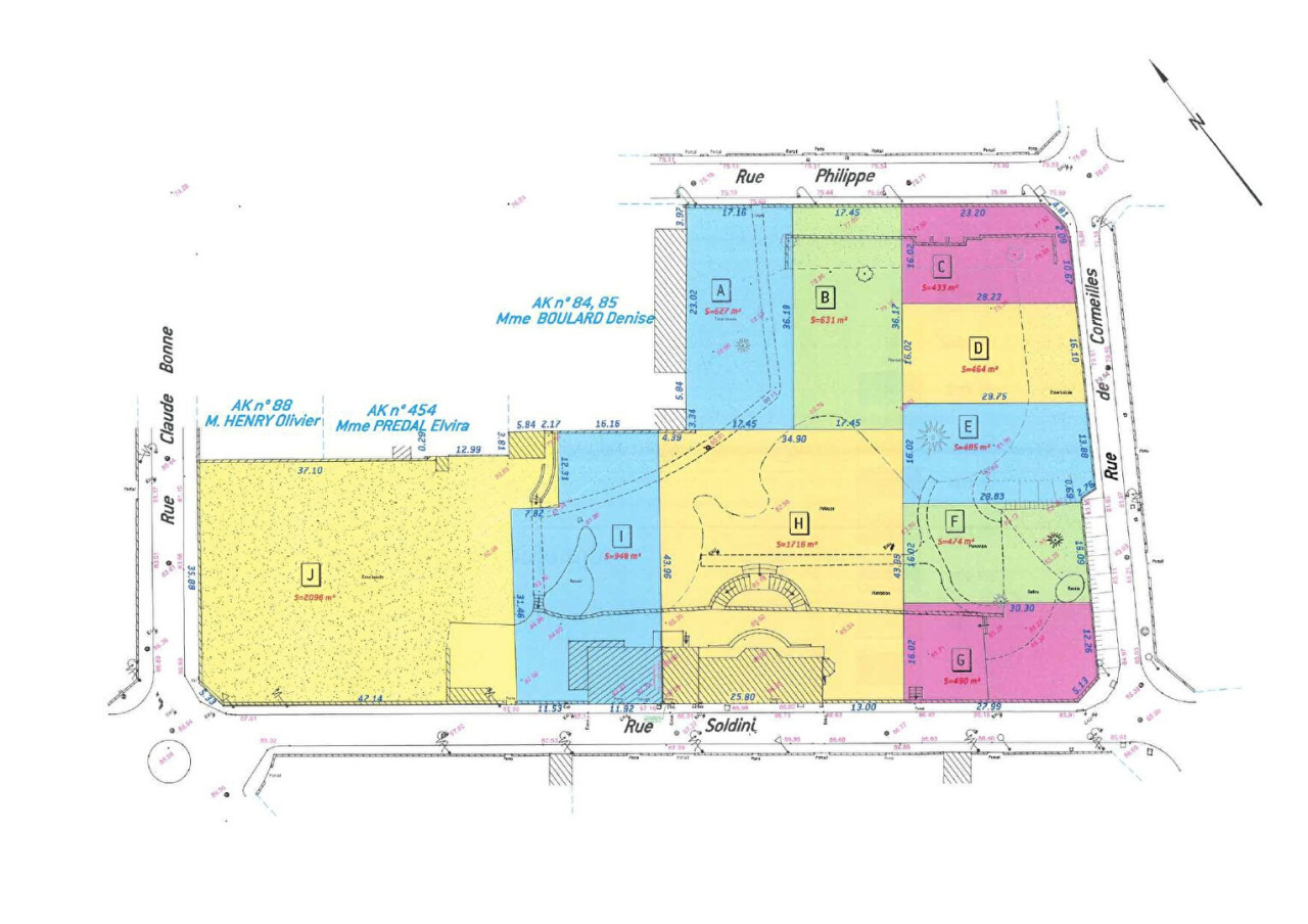
Au sein du quartier l'Hôtel de Ville à FRANCONVILLE, nous vous proposons 1 terrain de 433 m², qui bénéficie d'un emplacement de choix dans un environnement pavillonnaire calme.Avec des façades de 16 mètres et situé en zone UI, ils vous offrent de nombreuses possibilités pour la réalisation d'un projet résidentiel. Libre de constructeur, vous êtes totalement libre de choisir l'architecte ou le constructeur de votre choix pour concevoir la maison qui vous ressemble.A proximité immédiate des écoles, commerces, transports en commun et des principaux axes routiers. UNE BELLE OPPORTUNITE !!Un ERRIAL (Etat des Risques Réglementés pour l'Information des Acquéreurs et des Locataires) et les informations sur les risques auxquels ces biens sont exposés, sont disponibles sur le site Géorisques : www. georisques.gouv.fr. Non soumis au DPE. Pour plus de renseignements, contactez Grégory RIBEIRO, agent commercial immatriculé 984853960 Pontoise.
Descriptif du bien
- Code postal : 95130
- surface terrain : 433 m²
- Cuisine : SANS
- Mode de chauffage : Autre
- Type de chauffage : Autre
- Format de chauffage : AUTRE
- Balcon : NON
- Quote Part annuelle des charges : 0 €
- Prix de vente : 199 000 €
- Les honoraires d'agence seront intégralement à la charge du vendeur
MONTANT MAXIMUM ESTIMÉ DES DÉPENSES ANNUELLES D'ÉNERGIE POUR UN USAGE STANDARD:
La ville de Franconville (95130)
Nous Contacter
Afficher le téléphone 01 34 15 48 00Les informations recueillies sur ce formulaire sont enregistrées dans un fichier informatisé par La Boite Immo agissant comme Sous-traitant du traitement pour la gestion de la clientèle/prospects de l'Agence / du Réseau qui reste Responsable du Traitement de vos Données personnelles.
La base légale du traitement repose sur l’intérêt légitime de l'Agence / du Réseau.
Elles sont conservées jusqu'à demande de suppression et sont destinées à l'Agence / au Réseau.
Conformément à la loi « informatique et libertés », vous pouvez exercer votre droit d'accès aux données vous concernant et les faire rectifier en contactant l'Agence / le Réseau.
Si vous estimez, après avoir contacté l'Agence / le Réseau, que vos droits « Informatique et Libertés » ne sont pas respectés, vous pouvez adresser une réclamation à la CNIL.
Nous vous informons de l’existence de la liste d'opposition au démarchage téléphonique « Bloctel », sur laquelle vous pouvez vous inscrire ici : https://www.bloctel.gouv.fr
Dans le cadre de la protection des Données personnelles, nous vous invitons à ne pas inscrire de Données sensibles dans le champ de saisie libre
Ce site est protégé par reCAPTCHA, les Politiques de Confidentialité et les Conditions d'Utilisation de Google s'appliquent.
